建设人民城市
上海给自己定下了一组目标
如何解题作答?
许许多多围绕“人民至上”的工作正加码推进
比如旧区改造上海发出了“再加力,再提速”的集结令
全市旧改任务最重的黄浦区
今年以来已完成
成片二级旧里改造4200多户
刚刚定下的新目标——
全年要完成不少于1.6万户征收!
黄浦区委书记杲云:
黄浦旧改的量应该说非常大,我们今年加大了整个旧改的推进力度,这是黄浦最大的民生,也是我们最大的发展。
我们去年是1.2万户,今年我们提出不少于1.6万户。上半年我们完成了4000多户,后面我们会跑出加速度,加快旧改的力度和速度。我们现在全力以赴,把我们的力量资源聚焦在旧区改造上面,工作队伍已经组织好了,资金也筹措得差不多了。
通过旧改一举多得,既改善群众的居住环境,又能够把城市的文脉能够保存好,同时又为城市未来发展打造新的功能。所以我们是算长远的账,算一个动态的账,更关键我们算民生的账。
2012年至2019年——全区旧改征收超过5.1万户
其中,2017年至2019年——年度旧改签约总量从5280户、7260户,提升到1.2万户
2020年——上半年实现4个项目启动生效、2个项目收尾,全区完成成片二级旧里改造4279户,全年目标不少于1.6万户
下半年重点区域:
金陵路、西藏路、北京路、建国路和老城厢。
对上海那些还在使用手拎马桶的居民来说
这两年都值得被记住
全市旧区改造工作犹如按下快进键
一个个沉寂了多年的旧改基地相继启动征收
不断刷新签约速度
让从小就生活在老旧房屋的居民们
终于在两鬓斑白之际能够搬出老宅
在这些热火朝天的旧改基地
我们见过许多开怀的笑脸
“早点到三室一厅的新家,去过新年!”
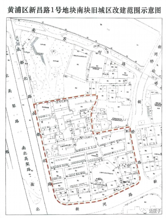
黄浦区金陵东路地块
今年1月初,遇到年逾七旬张伯伯时
他正在金陵东路一处“三层阁”里打包整理
那是他住在老宅的最后一晚
在老上海石库门住宅里
“三层阁”其实是二楼和尖顶间搭出的房间
好些地方人都很难站直
楼梯也是几近90度的简易木梯
就是在这样的空间里
张伯伯和妻女蜗居了近40年
第二天,他们一家就搬入了浦江镇的新居
而这片石库门区域也将进行整体改造提升
“同一个小区买了两套!有阳光,有小区环境!”
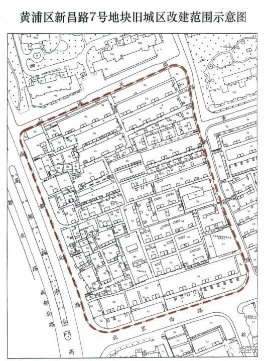
黄浦区乔家路地块
在老城厢迷宫般的小弄堂里
遇到59岁的薛阿姨时
她已经搬进了新房
回头看看这栋住了59年的老宅
她的话语中有着藏不住的笑意
已经进入收尾阶段的乔家路地块
每天都会迎来许多老邻居回来走走
当年潮湿逼仄的小阁楼
每天排着队的公共澡堂
回忆老房子的蜗居生活
此刻的欢笑更显珍贵
“现在旧改签约越来越快,这是居民对政策的信任!”
在黄浦区很多个旧改基地
经常能遇到黄浦第一征收事务所
征收总监张国樑
最近一次在董家渡14号地块二期
那里刚刚完成二轮征询
第一天中午就达到了98.1%的签约率
作为上海最早推动“阳光动迁”的老法师
他见证了这些年来上海旧改签约越来越快
源于居民们对旧改的期盼
更得益于大家
对“阳光征收、一竿子到底”政策的信任
在每个旧改基地
所有被征收房屋的建筑面积、家庭人员等
都可以查询
每家每户的签约情况、补偿方案、安置房源
也都被晒在了“阳光下”
值得被记录的笑脸还有许多
它应该是一幅群像图
所有已经盼来旧改或等待旧改的
居民都是其中的主角
在这一张张笑脸的背后
是更有盼头、更有奔头的新生活
